ℹ️ Skipped - page is already crawled
| Filter | Status | Condition | Details |
|---|---|---|---|
| HTTP status | PASS | download_http_code = 200 | HTTP 200 |
| Age cutoff | PASS | download_stamp > now() - 6 MONTH | 0.3 months ago |
| History drop | PASS | isNull(history_drop_reason) | No drop reason |
| Spam/ban | PASS | fh_dont_index != 1 AND ml_spam_score = 0 | ml_spam_score=0 |
| Canonical | PASS | meta_canonical IS NULL OR = '' OR = src_unparsed | Not set |
| Property | Value |
|---|---|
| URL | https://www.ksut.org/environment/2017-09-06/heres-what-you-need-to-know-about-hurricane-irma |
| Last Crawled | 2026-04-08 21:33:54 (9 days ago) |
| First Indexed | not set |
| HTTP Status Code | 200 |
| Meta Title | Here's What You Need To Know About Hurricane Irma | KSUT Public Radio |
| Meta Description | As the powerful storm approaches the U.S., here are some of the basics about the dangers it poses. |
| Meta Canonical | null |
| Boilerpipe Text | Published September 6, 2017 at 10:20 AM MDT
Updated at 8 a.m. ET Friday
Irma is one of the most powerful Atlantic Ocean hurricanes ever recorded, and its wind speeds remain about 150 miles per hour, with stronger gusts. As this monster churns through the Caribbean and heads toward Florida, here is the lowdown.
How dangerous is it?
When it smashed through much of the Caribbean, Irma was a
Category 5
storm, which means sustained winds of greater than 157 mph. Winds that strong can destroy framed homes and many masonry structures that aren't reinforced. Forecasters predict that Irma's damage may be more tornado-like than the devastation wreaked by more typical hurricanes. Normally, the worst damage from a hurricane comes in the "eyewall" area to the front right of the eye. But Irma, now a Category 4, is so big and powerful that the damage zone could be extensive regardless of exactly where its center tracks. The hurricane-force winds extend outward up to 70 miles from the center of the storm. It has already killed more than a dozen people and left the island of Barbuda almost uninhabitable
How does Irma compare with Harvey?
Harvey caused trouble by basically parking in one place and dropping mind-boggling, historic amounts of rain. Irma, by contrast, is a whirling dervish that has been sweeping through the Caribbean islands and leaving devastation in its wake. Unlike Harvey, Irma's damage should come primarily from storm surge and the violent winds.
What could Irma do to Florida?
The National Hurricane Center
says that
"the eye of Irma should move near the north coast of Cuba and the central Bahamas today and Saturday, and be near the Florida Keys and the southern Florida Peninsula Sunday morning."
A Hurricane Watch is in now in effect for much of Cuba, and also southern Florida including the Florida Keys, Jupiter Inlet southward around the Florida peninsula to Bonita Beach, Lake Okeechobee and Florida Bay. The watch will likely extend northward later on.
And Florida officials have already announced mandatory evacuation orders for certain areas such as the Florida Keys and low-lying parts of Miami-Dade County. Schools have closed, shelters are being set up, and the governor says all 7,000 members of the National Guard will be deployed as of Friday.
Is it unusual to have two strong storms back to back?
Harvey was the most powerful storm to hit the mainland U.S. in over a decade, and now Irma is hot on its heels. But this isn't the first time two impressive storms have hit in rapid succession. In 1954, Carol and Edna menaced the East Coast within two weeks of each other and were soon followed by Hazel. In 1955, Connie and Diane "struck the North Carolina coast only five days apart,"
according
to the National Hurricane Center. But hurricanes draw their strength from the warmth of water below, and climate scientists point out that global climate change is increasing ocean temperatures,
likely
producing more powerful storms.
Copyright 2021 NPR. To see more, visit https://www.npr.org. |
| Markdown | [](https://www.ksut.org/)
- [Listen](http://www.radiorethink.com/tuner/?stationCode=ksutfourcorners&stream=hi)
- [On Demand](https://www.ksut.org/on-demand)
- [How to Listen](https://www.ksut.org/listening-options)
- [Program Schedule](https://www.ksut.org/program-schedule)
- [Programs A-Z](https://www.ksut.org/all-shows)
- [On Demand](https://www.ksut.org/on-demand)
- [How to Listen](https://www.ksut.org/listening-options)
- [Program Schedule](https://www.ksut.org/program-schedule)
- [Programs A-Z](https://www.ksut.org/all-shows)
- [News](https://www.ksut.org/tags/ksut-news)
- [Regional Newscast](https://www.ksut.org/show/ksut-regional-newscast)
- [Local News](https://www.ksut.org/local-news)
- [Colorado News](https://www.ksut.org/colorado-news)
- [Regional News](https://www.ksut.org/regional-news)
- [National News](https://www.ksut.org/tags/npr-news)
- [Native & Indigenous News](https://www.ksut.org/native-and-indigenous-news)
- [Capitol News Alliance](https://www.ksut.org/capitol-news-alliance)
- [Mountain West News Bureau](https://www.ksut.org/the-mountain-west-news-bureau)
- [Rocky Mountain Community Radio](https://www.ksut.org/rocky-mountain-community-radio)
- [Western Water Coverage](https://www.ksut.org/western-water-coverage)
- [Wildfire Resources](https://www.ksut.org/wildfire-resources)
- [Regional Newscast](https://www.ksut.org/show/ksut-regional-newscast)
- [Local News](https://www.ksut.org/local-news)
- [Colorado News](https://www.ksut.org/colorado-news)
- [Regional News](https://www.ksut.org/regional-news)
- [National News](https://www.ksut.org/tags/npr-news)
- [Native & Indigenous News](https://www.ksut.org/native-and-indigenous-news)
- [Capitol News Alliance](https://www.ksut.org/capitol-news-alliance)
- [Mountain West News Bureau](https://www.ksut.org/the-mountain-west-news-bureau)
- [Rocky Mountain Community Radio](https://www.ksut.org/rocky-mountain-community-radio)
- [Western Water Coverage](https://www.ksut.org/western-water-coverage)
- [Wildfire Resources](https://www.ksut.org/wildfire-resources)
- [Specials](https://www.ksut.org/specials-and-series)
- [KSUT Conversations](https://www.ksut.org/ksut-conversations)
- [Garden Guys](https://www.ksut.org/show/garden-guys)
- [Page One](https://www.ksut.org/show/page-one)
- [Voices From the Edge of the Colorado Plateau](https://www.ksut.org/voices-from-the-edge-of-the-colorado-plateau)
- [The Magic City of the Southwest](https://www.ksut.org/the-magic-city-of-the-southwest)
- [The Land Desk](https://www.ksut.org/the-land-desk)
- [Narcan and Durango Schools](https://www.ksut.org/series-narcan-and-durango-schools)
- [One Small Step](https://www.ksut.org/one-small-step-stories)
- [KSUT Conversations](https://www.ksut.org/ksut-conversations)
- [Garden Guys](https://www.ksut.org/show/garden-guys)
- [Page One](https://www.ksut.org/show/page-one)
- [Voices From the Edge of the Colorado Plateau](https://www.ksut.org/voices-from-the-edge-of-the-colorado-plateau)
- [The Magic City of the Southwest](https://www.ksut.org/the-magic-city-of-the-southwest)
- [The Land Desk](https://www.ksut.org/the-land-desk)
- [Narcan and Durango Schools](https://www.ksut.org/series-narcan-and-durango-schools)
- [One Small Step](https://www.ksut.org/one-small-step-stories)
- [Music](https://www.ksut.org/music/ksut-music)
- [KSUT Music](https://www.ksut.org/music/ksut-music)
- [Current Playlist](https://www.ksut.org/current-playlist)
- [Past Playlists](https://www.ksut.org/past-playlists)
- [Tiny Desk Concerts](https://www.ksut.org/featured-tiny-desk-concerts)
- [KSUT Spotlight](https://www.ksut.org/show/ksut-spotlight)
- [KSUT Sessions](https://www.ksut.org/ksut-sessions-on-demand)
- [KSUT Music](https://www.ksut.org/music/ksut-music)
- [Current Playlist](https://www.ksut.org/current-playlist)
- [Past Playlists](https://www.ksut.org/past-playlists)
- [Tiny Desk Concerts](https://www.ksut.org/featured-tiny-desk-concerts)
- [KSUT Spotlight](https://www.ksut.org/show/ksut-spotlight)
- [KSUT Sessions](https://www.ksut.org/ksut-sessions-on-demand)
- [Weather](https://www.ksut.org/regional-weather)
- [About](https://www.ksut.org/about-ksut)
- [Inside KSUT](https://www.ksut.org/inside-ksut)
- [History](https://www.ksut.org/about-ksut)
- [Contact](https://www.ksut.org/contact-us)
- [Our People](https://www.ksut.org/our-people)
- [Board of Directors](https://www.ksut.org/ksut-board-of-directors)
- [Employment Opportunities](https://www.ksut.org/employment-opportunities)
- [FCC Public Files](https://www.ksut.org/public-file)
- [Compliance Statements](https://www.ksut.org/compliance-statements)
- [Inside KSUT](https://www.ksut.org/inside-ksut)
- [History](https://www.ksut.org/about-ksut)
- [Contact](https://www.ksut.org/contact-us)
- [Our People](https://www.ksut.org/our-people)
- [Board of Directors](https://www.ksut.org/ksut-board-of-directors)
- [Employment Opportunities](https://www.ksut.org/employment-opportunities)
- [FCC Public Files](https://www.ksut.org/public-file)
- [Compliance Statements](https://www.ksut.org/compliance-statements)
- [Support](https://donate.nprstations.org/ksut/)
- [Individual Memberships](https://donate.nprstations.org/ksut/?_ga=2.43938597.125098317.1623870236-1881061406.1623699274)
- [Underwriting](https://www.ksut.org/underwriting)
- [Planned Giving](https://www.ksut.org/planned-giving)
- [Next 50 Endowment Fund](https://www.ksut.org/the-next-50-fund)
- [Gifts of Stock](https://www.ksut.org/gifts-of-stock)
- [Alpine Bank Community Matching Fund](https://www.ksut.org/alpine-bank-community-matching-fund)
- [Volunteer](https://www.ksut.org/volunteer)
- [Why Support Public Media?](https://www.ksut.org/how-federal-funding-for-public-media-works-and-why-its-essential)
- [Underwriters & Business Sponsors](https://www.ksut.org/list-of-current-underwriters)
- [Submit Underwriting Payments](https://donate.nprstations.org/ksut/underwriter-invoice-payment-form?_ga=2.185213291.336553292.1562002790-319289484.1541092734)
- [Individual Memberships](https://donate.nprstations.org/ksut/?_ga=2.43938597.125098317.1623870236-1881061406.1623699274)
- [Underwriting](https://www.ksut.org/underwriting)
- [Planned Giving](https://www.ksut.org/planned-giving)
- [Next 50 Endowment Fund](https://www.ksut.org/the-next-50-fund)
- [Gifts of Stock](https://www.ksut.org/gifts-of-stock)
- [Alpine Bank Community Matching Fund](https://www.ksut.org/alpine-bank-community-matching-fund)
- [Volunteer](https://www.ksut.org/volunteer)
- [Why Support Public Media?](https://www.ksut.org/how-federal-funding-for-public-media-works-and-why-its-essential)
- [Underwriters & Business Sponsors](https://www.ksut.org/list-of-current-underwriters)
- [Submit Underwriting Payments](https://donate.nprstations.org/ksut/underwriter-invoice-payment-form?_ga=2.185213291.336553292.1562002790-319289484.1541092734)
- [Events](https://www.ksut.org/community-calendar)
- [Calendar](https://www.ksut.org/community-calendar)
- [Submit An Event](https://www.ksut.org/community-calendar/events/create)
- [Calendar](https://www.ksut.org/community-calendar)
- [Submit An Event](https://www.ksut.org/community-calendar/events/create)
- [KSUT App](https://www.ksut.org/ksut-app)
- [Tribal Radio](https://tribalradio.org/)
- [KSUT Presents](https://www.ksut.org/ksut-presents)
© 2026 KSUT Public Radio

Menu
[](https://www.ksut.org/)
NPR News and Music Discovery for the Four Corners
Show Search
[Donate](https://www.ksut.org/donate)
Play Live Radio
Next Up:
0:00
0:00
0:00 0:00
Available On Air Stations
- On Air Now Playing Four Corners Public Radio
- On Air Now Playing Tribal Radio
All Streams
- [Listen](http://www.radiorethink.com/tuner/?stationCode=ksutfourcorners&stream=hi)
- [On Demand](https://www.ksut.org/on-demand)
- [How to Listen](https://www.ksut.org/listening-options)
- [Program Schedule](https://www.ksut.org/program-schedule)
- [Programs A-Z](https://www.ksut.org/all-shows)
- [On Demand](https://www.ksut.org/on-demand)
- [How to Listen](https://www.ksut.org/listening-options)
- [Program Schedule](https://www.ksut.org/program-schedule)
- [Programs A-Z](https://www.ksut.org/all-shows)
- [News](https://www.ksut.org/tags/ksut-news)
- [Regional Newscast](https://www.ksut.org/show/ksut-regional-newscast)
- [Local News](https://www.ksut.org/local-news)
- [Colorado News](https://www.ksut.org/colorado-news)
- [Regional News](https://www.ksut.org/regional-news)
- [National News](https://www.ksut.org/tags/npr-news)
- [Native & Indigenous News](https://www.ksut.org/native-and-indigenous-news)
- [Capitol News Alliance](https://www.ksut.org/capitol-news-alliance)
- [Mountain West News Bureau](https://www.ksut.org/the-mountain-west-news-bureau)
- [Rocky Mountain Community Radio](https://www.ksut.org/rocky-mountain-community-radio)
- [Western Water Coverage](https://www.ksut.org/western-water-coverage)
- [Wildfire Resources](https://www.ksut.org/wildfire-resources)
- [Regional Newscast](https://www.ksut.org/show/ksut-regional-newscast)
- [Local News](https://www.ksut.org/local-news)
- [Colorado News](https://www.ksut.org/colorado-news)
- [Regional News](https://www.ksut.org/regional-news)
- [National News](https://www.ksut.org/tags/npr-news)
- [Native & Indigenous News](https://www.ksut.org/native-and-indigenous-news)
- [Capitol News Alliance](https://www.ksut.org/capitol-news-alliance)
- [Mountain West News Bureau](https://www.ksut.org/the-mountain-west-news-bureau)
- [Rocky Mountain Community Radio](https://www.ksut.org/rocky-mountain-community-radio)
- [Western Water Coverage](https://www.ksut.org/western-water-coverage)
- [Wildfire Resources](https://www.ksut.org/wildfire-resources)
- [Specials](https://www.ksut.org/specials-and-series)
- [KSUT Conversations](https://www.ksut.org/ksut-conversations)
- [Garden Guys](https://www.ksut.org/show/garden-guys)
- [Page One](https://www.ksut.org/show/page-one)
- [Voices From the Edge of the Colorado Plateau](https://www.ksut.org/voices-from-the-edge-of-the-colorado-plateau)
- [The Magic City of the Southwest](https://www.ksut.org/the-magic-city-of-the-southwest)
- [The Land Desk](https://www.ksut.org/the-land-desk)
- [Narcan and Durango Schools](https://www.ksut.org/series-narcan-and-durango-schools)
- [One Small Step](https://www.ksut.org/one-small-step-stories)
- [KSUT Conversations](https://www.ksut.org/ksut-conversations)
- [Garden Guys](https://www.ksut.org/show/garden-guys)
- [Page One](https://www.ksut.org/show/page-one)
- [Voices From the Edge of the Colorado Plateau](https://www.ksut.org/voices-from-the-edge-of-the-colorado-plateau)
- [The Magic City of the Southwest](https://www.ksut.org/the-magic-city-of-the-southwest)
- [The Land Desk](https://www.ksut.org/the-land-desk)
- [Narcan and Durango Schools](https://www.ksut.org/series-narcan-and-durango-schools)
- [One Small Step](https://www.ksut.org/one-small-step-stories)
- [Music](https://www.ksut.org/music/ksut-music)
- [KSUT Music](https://www.ksut.org/music/ksut-music)
- [Current Playlist](https://www.ksut.org/current-playlist)
- [Past Playlists](https://www.ksut.org/past-playlists)
- [Tiny Desk Concerts](https://www.ksut.org/featured-tiny-desk-concerts)
- [KSUT Spotlight](https://www.ksut.org/show/ksut-spotlight)
- [KSUT Sessions](https://www.ksut.org/ksut-sessions-on-demand)
- [KSUT Music](https://www.ksut.org/music/ksut-music)
- [Current Playlist](https://www.ksut.org/current-playlist)
- [Past Playlists](https://www.ksut.org/past-playlists)
- [Tiny Desk Concerts](https://www.ksut.org/featured-tiny-desk-concerts)
- [KSUT Spotlight](https://www.ksut.org/show/ksut-spotlight)
- [KSUT Sessions](https://www.ksut.org/ksut-sessions-on-demand)
- [Weather](https://www.ksut.org/regional-weather)
- [About](https://www.ksut.org/about-ksut)
- [Inside KSUT](https://www.ksut.org/inside-ksut)
- [History](https://www.ksut.org/about-ksut)
- [Contact](https://www.ksut.org/contact-us)
- [Our People](https://www.ksut.org/our-people)
- [Board of Directors](https://www.ksut.org/ksut-board-of-directors)
- [Employment Opportunities](https://www.ksut.org/employment-opportunities)
- [FCC Public Files](https://www.ksut.org/public-file)
- [Compliance Statements](https://www.ksut.org/compliance-statements)
- [Inside KSUT](https://www.ksut.org/inside-ksut)
- [History](https://www.ksut.org/about-ksut)
- [Contact](https://www.ksut.org/contact-us)
- [Our People](https://www.ksut.org/our-people)
- [Board of Directors](https://www.ksut.org/ksut-board-of-directors)
- [Employment Opportunities](https://www.ksut.org/employment-opportunities)
- [FCC Public Files](https://www.ksut.org/public-file)
- [Compliance Statements](https://www.ksut.org/compliance-statements)
- [Support](https://donate.nprstations.org/ksut/)
- [Individual Memberships](https://donate.nprstations.org/ksut/?_ga=2.43938597.125098317.1623870236-1881061406.1623699274)
- [Underwriting](https://www.ksut.org/underwriting)
- [Planned Giving](https://www.ksut.org/planned-giving)
- [Next 50 Endowment Fund](https://www.ksut.org/the-next-50-fund)
- [Gifts of Stock](https://www.ksut.org/gifts-of-stock)
- [Alpine Bank Community Matching Fund](https://www.ksut.org/alpine-bank-community-matching-fund)
- [Volunteer](https://www.ksut.org/volunteer)
- [Why Support Public Media?](https://www.ksut.org/how-federal-funding-for-public-media-works-and-why-its-essential)
- [Underwriters & Business Sponsors](https://www.ksut.org/list-of-current-underwriters)
- [Submit Underwriting Payments](https://donate.nprstations.org/ksut/underwriter-invoice-payment-form?_ga=2.185213291.336553292.1562002790-319289484.1541092734)
- [Individual Memberships](https://donate.nprstations.org/ksut/?_ga=2.43938597.125098317.1623870236-1881061406.1623699274)
- [Underwriting](https://www.ksut.org/underwriting)
- [Planned Giving](https://www.ksut.org/planned-giving)
- [Next 50 Endowment Fund](https://www.ksut.org/the-next-50-fund)
- [Gifts of Stock](https://www.ksut.org/gifts-of-stock)
- [Alpine Bank Community Matching Fund](https://www.ksut.org/alpine-bank-community-matching-fund)
- [Volunteer](https://www.ksut.org/volunteer)
- [Why Support Public Media?](https://www.ksut.org/how-federal-funding-for-public-media-works-and-why-its-essential)
- [Underwriters & Business Sponsors](https://www.ksut.org/list-of-current-underwriters)
- [Submit Underwriting Payments](https://donate.nprstations.org/ksut/underwriter-invoice-payment-form?_ga=2.185213291.336553292.1562002790-319289484.1541092734)
- [Events](https://www.ksut.org/community-calendar)
- [Calendar](https://www.ksut.org/community-calendar)
- [Submit An Event](https://www.ksut.org/community-calendar/events/create)
- [Calendar](https://www.ksut.org/community-calendar)
- [Submit An Event](https://www.ksut.org/community-calendar/events/create)
- [KSUT App](https://www.ksut.org/ksut-app)
- [Tribal Radio](https://tribalradio.org/)
- [KSUT Presents](https://www.ksut.org/ksut-presents)
# Here's What You Need To Know About Hurricane Irma
NPR \| By [Nell Greenfieldboyce](https://www.ksut.org/people/nell-greenfieldboyce)
Published September 6, 2017 at 10:20 AM MDT
- [Facebook](https://www.facebook.com/dialog/share?app_id=%203755410854561992&display=popup&href=https%3A%2F%2Fwww.ksut.org%2Fenvironment%2F2017-09-06%2Fheres-what-you-need-to-know-about-hurricane-irma)
- [LinkedIn](https://www.linkedin.com/shareArticle?url=https%3A%2F%2Fwww.ksut.org%2Fenvironment%2F2017-09-06%2Fheres-what-you-need-to-know-about-hurricane-irma&mini=true&title=Here%27s%20What%20You%20Need%20To%20Know%20About%20Hurricane%20Irma&summary=As%20the%20powerful%20storm%20approaches%20the%20U.S.%2C%20here%20are%20some%20of%20the%20basics%20about%20the%20dangers%20it%20poses.&source=KSUT)
- [Email](mailto:?body=Here%27s%20What%20You%20Need%20To%20Know%20About%20Hurricane%20Irma%0A%0Ahttps%3A%2F%2Fwww.ksut.org%2Fenvironment%2F2017-09-06%2Fheres-what-you-need-to-know-about-hurricane-irma%0A%0AAs%20the%20powerful%20storm%20approaches%20the%20U.S.%2C%20here%20are%20some%20of%20the%20basics%20about%20the%20dangers%20it%20poses.)

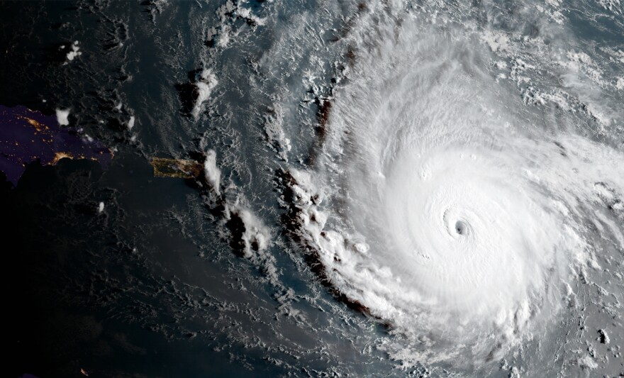
AP
/
NOAA
The most powerful Atlantic Ocean hurricane in National Hurricane Center records has roared into the Caribbean and was on a path to hit Florida this weekend or early next week. As of Thursday morning, Irma was still a Category 5 storm.
**Updated at 8 a.m. ET Friday**
Irma is one of the most powerful Atlantic Ocean hurricanes ever recorded, and its wind speeds remain about 150 miles per hour, with stronger gusts. As this monster churns through the Caribbean and heads toward Florida, here is the lowdown.
**How dangerous is it?**
When it smashed through much of the Caribbean, Irma was a [Category 5](http://www.nhc.noaa.gov/aboutsshws.php) storm, which means sustained winds of greater than 157 mph. Winds that strong can destroy framed homes and many masonry structures that aren't reinforced. Forecasters predict that Irma's damage may be more tornado-like than the devastation wreaked by more typical hurricanes. Normally, the worst damage from a hurricane comes in the "eyewall" area to the front right of the eye. But Irma, now a Category 4, is so big and powerful that the damage zone could be extensive regardless of exactly where its center tracks. The hurricane-force winds extend outward up to 70 miles from the center of the storm. It has already killed more than a dozen people and left the island of Barbuda almost uninhabitable
**How does Irma compare with Harvey?**
Harvey caused trouble by basically parking in one place and dropping mind-boggling, historic amounts of rain. Irma, by contrast, is a whirling dervish that has been sweeping through the Caribbean islands and leaving devastation in its wake. Unlike Harvey, Irma's damage should come primarily from storm surge and the violent winds.
**What could Irma do to Florida?**
The National Hurricane Center [says that](http://www.nhc.noaa.gov/text/refresh/MIATCDAT1+shtml/071054.shtml) "the eye of Irma should move near the north coast of Cuba and the central Bahamas today and Saturday, and be near the Florida Keys and the southern Florida Peninsula Sunday morning."
A Hurricane Watch is in now in effect for much of Cuba, and also southern Florida including the Florida Keys, Jupiter Inlet southward around the Florida peninsula to Bonita Beach, Lake Okeechobee and Florida Bay. The watch will likely extend northward later on.
And Florida officials have already announced mandatory evacuation orders for certain areas such as the Florida Keys and low-lying parts of Miami-Dade County. Schools have closed, shelters are being set up, and the governor says all 7,000 members of the National Guard will be deployed as of Friday.
**Is it unusual to have two strong storms back to back?**
Harvey was the most powerful storm to hit the mainland U.S. in over a decade, and now Irma is hot on its heels. But this isn't the first time two impressive storms have hit in rapid succession. In 1954, Carol and Edna menaced the East Coast within two weeks of each other and were soon followed by Hazel. In 1955, Connie and Diane "struck the North Carolina coast only five days apart," [according](http://www.nhc.noaa.gov/outreach/history/) to the National Hurricane Center. But hurricanes draw their strength from the warmth of water below, and climate scientists point out that global climate change is increasing ocean temperatures, [likely](http://www.npr.org/2017/08/28/546831731/hurricane-harveys-size-and-impact-points-to-climate-change) producing more powerful storms.
Copyright 2021 NPR. To see more, visit https://www.npr.org.
Tags
[National News](https://www.ksut.org/tags/npr-news)
- [Facebook](https://www.facebook.com/dialog/share?app_id=%203755410854561992&display=popup&href=https%3A%2F%2Fwww.ksut.org%2Fenvironment%2F2017-09-06%2Fheres-what-you-need-to-know-about-hurricane-irma)
- [LinkedIn](https://www.linkedin.com/shareArticle?url=https%3A%2F%2Fwww.ksut.org%2Fenvironment%2F2017-09-06%2Fheres-what-you-need-to-know-about-hurricane-irma&mini=true&title=Here%27s%20What%20You%20Need%20To%20Know%20About%20Hurricane%20Irma&summary=As%20the%20powerful%20storm%20approaches%20the%20U.S.%2C%20here%20are%20some%20of%20the%20basics%20about%20the%20dangers%20it%20poses.&source=KSUT)
- [Email](mailto:?body=Here%27s%20What%20You%20Need%20To%20Know%20About%20Hurricane%20Irma%0A%0Ahttps%3A%2F%2Fwww.ksut.org%2Fenvironment%2F2017-09-06%2Fheres-what-you-need-to-know-about-hurricane-irma%0A%0AAs%20the%20powerful%20storm%20approaches%20the%20U.S.%2C%20here%20are%20some%20of%20the%20basics%20about%20the%20dangers%20it%20poses.)
[](https://www.ksut.org/people/nell-greenfieldboyce)
[Nell Greenfieldboyce](https://www.ksut.org/people/nell-greenfieldboyce)
Nell Greenfieldboyce is a NPR science correspondent.
[See stories by Nell Greenfieldboyce](https://www.ksut.org/people/nell-greenfieldboyce)
[](https://donate.nprstations.org/ksut/)
[Defunded but determined](https://donate.nprstations.org/ksut/)
Protect the future of KSUT by becoming a sustaining member.
[I Support KSUT](https://donate.nprstations.org/ksut/)
[](https://www.ksut.org/ksut-app)
[The KSUT App](https://www.ksut.org/ksut-app)
Take KSUT wherever you go\!
[Get the App](https://www.ksut.org/ksut-app)
[](https://www.morehartmurphysubaru.com/)
[](https://www.axtellmtnconstruction.com/)
[](https://www.ksut.org/)
© 2026 KSUT Public Radio
- [Program Schedule](https://www.ksut.org/program-schedule)
- [Listening Options](https://www.ksut.org/listening-options)
- [Donate Today](https://donate.nprstations.org/ksut/?_ga=2.140407731.125098317.1623870236-1881061406.1623699274)
- [Contact Us](https://www.ksut.org/contact-us)
- [FCC Public Files](https://www.ksut.org/public-file)
- [Compliance Statements](https://www.ksut.org/compliance-statements)
- [Bluesky](https://bsky.app/profile/ksutpublicradio.bsky.social)
- [facebook](https://www.facebook.com/KSUTPublicRadio/)
- [instagram](https://www.instagram.com/ksutfourcornerspublicradio/)
- [](<https://npr.org >)
- [](https://www.prx.org/) |
| Readable Markdown | Published September 6, 2017 at 10:20 AM MDT
**Updated at 8 a.m. ET Friday**
Irma is one of the most powerful Atlantic Ocean hurricanes ever recorded, and its wind speeds remain about 150 miles per hour, with stronger gusts. As this monster churns through the Caribbean and heads toward Florida, here is the lowdown.
**How dangerous is it?**
When it smashed through much of the Caribbean, Irma was a [Category 5](http://www.nhc.noaa.gov/aboutsshws.php) storm, which means sustained winds of greater than 157 mph. Winds that strong can destroy framed homes and many masonry structures that aren't reinforced. Forecasters predict that Irma's damage may be more tornado-like than the devastation wreaked by more typical hurricanes. Normally, the worst damage from a hurricane comes in the "eyewall" area to the front right of the eye. But Irma, now a Category 4, is so big and powerful that the damage zone could be extensive regardless of exactly where its center tracks. The hurricane-force winds extend outward up to 70 miles from the center of the storm. It has already killed more than a dozen people and left the island of Barbuda almost uninhabitable
**How does Irma compare with Harvey?**
Harvey caused trouble by basically parking in one place and dropping mind-boggling, historic amounts of rain. Irma, by contrast, is a whirling dervish that has been sweeping through the Caribbean islands and leaving devastation in its wake. Unlike Harvey, Irma's damage should come primarily from storm surge and the violent winds.
**What could Irma do to Florida?**
The National Hurricane Center [says that](http://www.nhc.noaa.gov/text/refresh/MIATCDAT1+shtml/071054.shtml) "the eye of Irma should move near the north coast of Cuba and the central Bahamas today and Saturday, and be near the Florida Keys and the southern Florida Peninsula Sunday morning."
A Hurricane Watch is in now in effect for much of Cuba, and also southern Florida including the Florida Keys, Jupiter Inlet southward around the Florida peninsula to Bonita Beach, Lake Okeechobee and Florida Bay. The watch will likely extend northward later on.
And Florida officials have already announced mandatory evacuation orders for certain areas such as the Florida Keys and low-lying parts of Miami-Dade County. Schools have closed, shelters are being set up, and the governor says all 7,000 members of the National Guard will be deployed as of Friday.
**Is it unusual to have two strong storms back to back?**
Harvey was the most powerful storm to hit the mainland U.S. in over a decade, and now Irma is hot on its heels. But this isn't the first time two impressive storms have hit in rapid succession. In 1954, Carol and Edna menaced the East Coast within two weeks of each other and were soon followed by Hazel. In 1955, Connie and Diane "struck the North Carolina coast only five days apart," [according](http://www.nhc.noaa.gov/outreach/history/) to the National Hurricane Center. But hurricanes draw their strength from the warmth of water below, and climate scientists point out that global climate change is increasing ocean temperatures, [likely](http://www.npr.org/2017/08/28/546831731/hurricane-harveys-size-and-impact-points-to-climate-change) producing more powerful storms.
Copyright 2021 NPR. To see more, visit https://www.npr.org. |
| Shard | 118 (laksa) |
| Root Hash | 16217785381871272518 |
| Unparsed URL | org,ksut!www,/environment/2017-09-06/heres-what-you-need-to-know-about-hurricane-irma s443 |